Skip to content
Share
Explore

Harvard Standish Foundation Specification

info

TLDR

Harvard Excavation Approach:

Utilize the layback method (slope soil 1.5 H : 1 V instead of shoring as noted in geotech report and ) for soil excavation, avoiding the need for shoring.
Refill the excavation site with structural fill (including some of the saved soil)
Install aggregate piers.
Install shallow foundation and slab (as previously designed)
Theoretical advantage: Removing a substantial amount of soil increases the likelihood that aggregate piers wont hit an undrillable obstruction.
Standish Excavation Approach:
Utilize the lay-back method for soil excavation where possible, avoiding the need for shoring in most places.
In areas where the layback method is not feasible, install shoring.
Refill the excavation site with structural fill (including some of the saved soil)
Do NOT use aggregate piers or Micropile.
Install shallow foundation and slab (as previously designed)


Harvard

image.png

image.png
Excavation and Site Preparation: Perform bulk excavation of site soils to depths specified in the Geotechnical Report. Removing existing fill and any encountered solid waste. Excavated material needs to be categorized for proper disposal or recycling according to environmental and local regulations.
Excavate with a 1.5 H:1 V sidewall layback. Along Harvard and Standish Streets the layback method, might only result in a depth of ~6 ‘ where the foundations walls will be located, but the layback side slope can continue to reach any required depth.
The excavation and removal process aims to eliminate significant debris to facilitate the installation of aggregate piers. Although some debris may still be encountered in the areas we cannot excavate due to avoiding the need for shoring. The goal is to maximize the likelihood of an unincumbered installation of the aggregate piers. Given this we do not necessarily need to have removed everything, just the bulk debris that might result in preventing the predrill for the piers. Hopefully give most of the site we can excavate to the depths necessary to remove all of the Urban/common fill even while using the layback method.
Material Disposal and Compliance: Transport and dispose of all excavated material off-site in an environmentally compliant manner. This involves coordination with certified disposal centers and adherence to all regulatory documentation and tracking requirements for waste management.
Engineered Backfill and Site Reconstruction: Supply and place engineered backfill in layers where necessary. Perform compaction testing on all replacement fill materials to ensure they reach specified density and load-bearing requirements. Use existing fill when the fill is suitable:
Geotech report: ”The quality of some existing fill soil if as seen in the borings may meet classification for structural fill. Excavated fill soil would need to be reviewed during earthwork. However, solid waste debris (concrete, asphalt, brick) would have to be culled from the soil (Appendix A). In many cases the solid waste is dominant below ground."
Aggregate Pier Ground Improvement: Install aggregate piers as noted in drawing.
Stem Wall/ Footing and Structural Slab Construction: Construct Frost Walls and and Footings as per structural drawings.
The sketch shows the depth we can hit at the foundation along Harvard Street if we use the layback method (remove ~ 6 foot depth where the foundation/ first line of piers would be placed, but that we can continue past the foundation line to get to the depth noted in geotech report for where Common fill/ solid waste fill stops (worst case 17' average of ~10'). There will still be a triangle of common fill along the streets that we won’t reach, but hopefully, we would reach/ remove enough that the aggregate piers could be installed with greater ease.
PXL_20240312_191533217.jpg
Harvard Soil Model.jpg




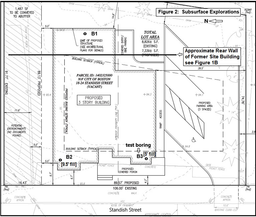
Standish

image.png
image.png
Excavation and Site Preparation: Perform bulk excavation of site soils to depths specified in the Geotechnical Report. Removing existing fill and any encountered solid waste. Excavated material needs to be categorized for proper disposal or recycling according to environmental and local regulations.
Excavate with a 1.5 H:1 V sidewall layback along the Driveway side (south), the rear (East) and whatever portion of the front (west) that the layback method will suffice to reach the depth neccisary.
Along part of Standish Street (west) and and the neighboring lot (north) the layback method, might only result in a depth of ~6 ‘ for any remaining depth required a Temporary Earth Retention System must be used. Install soldier piles (steel H-beams) at designated intervals along the excavation perimeter along with horizontal timber lagging to retain the earth and ensure the stability of the remaining soil during excavation down to 1.5 H as noted in the geotech report.
Material Disposal and Compliance: Transport and dispose of all excavated material off-site in an environmentally compliant manner. This involves coordination with certified disposal centers and adherence to all regulatory documentation and tracking requirements for waste management.
Engineered Backfill and Site Reconstruction: Supply and place engineered backfill in layers where necessary. Perform compaction testing on all replacement fill materials to ensure they reach specified density and load-bearing requirements. Use existing fill when the fill is suitable:
Geotech report: ”The quality of some existing fill soil if as seen in the borings may meet classification for structural fill. Excavated fill soil would need to be reviewed during earthwork. However, solid waste debris (concrete, asphalt, brick) would have to be culled from the soil (Appendix A). In many cases the solid waste is dominant below ground."
Stem Wall/ Footing and Grade Slab Construction: Construct Frost Walls and and Footings as per structural drawings.
No longer used...

Excavation and Bracing:

Notes from Geotech report.
Excavation Depth ≤ 4 ft.+/- in Soil:
Common practice is to maintain a 1H:1V temporary side slope for shallow excavation (≤ 4 ft.+/-) during construction. Benched steps can also be executed.
Note that the sidewall stability will be undermined by:
Minor sloughing when sidewall bleeding occurs either from release of trapped water in soil or drainage following storm events; and
Surficial exposed granular sidewall soil drying and subsequent caving or sloughing.


Excavation > 4 ft. in Soil:
Excavate with a 1.5 H:1 V sidewall layback. A braced excavation is required where adequate lateral space does not exist for a temporary sloped excavation (layback).
Excavation at this depth will take place within site granular soils which can be classified as OSHA Type C subsoils (Appendix A).
Deeper excavations without layback space would require support of excavation.
Most likely method of excavation support would be soldier pile and lagging:
Cantilever soldier piles of adequate section, embedded to at least 1.5 H in soil and spaced at about 8 feet likely could be used.
Due to the shallow bedding (thickness) of the glacial till soils and associated shallow depth to conglomerate rock below till, the piles would have to be pre-drilled into bedrock (Figure 5).
Final support of excavation design is the domain of the installer’s engineer.
Want to print your doc?
This is not the way.
Try clicking the ··· in the right corner or using a keyboard shortcut (
CtrlP
) instead.